お知らせ
【メバル釣りシラサエビについてのお願い】
エサの入荷が未確定です。
エサ釣りご希望の方は
各自でご用意してくださいますよう
どうぞよろしくお願い致します。
入荷できれば提供致しますので
前日お電話で確認してください。
【5月のマダコ釣りは受付中です。6月分は5月1日より受付開始です】
★【マダコ釣り】 5月1日(金)2日(土)・3日(日)・4日(月)・5日(火)・6日(水)
・・5時出船
★5月16日(土)・17日(日)・23日(土)・30日(土)は満席でございます。
他のマダコ釣り日程は空席ございます。
★【メバル釣り】 5月8日(金)・9日(土)・10日(日)
・・6時出船(10日(日)メバル釣り大会最終日表彰式 )
★5月11日(月)~8月末まで マダコ釣りの予定です。
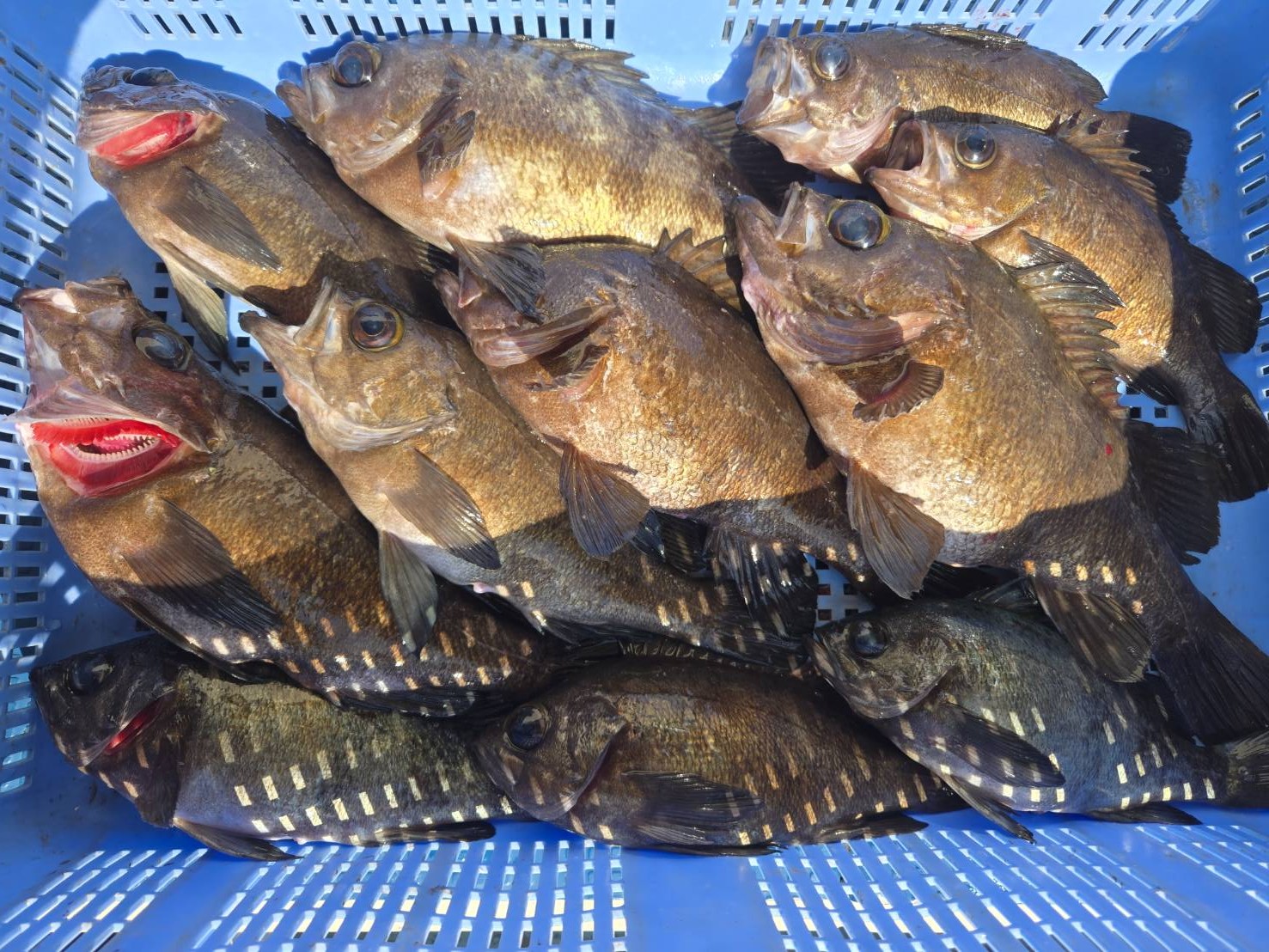
本日の釣果
本日は 明石市 生田氏
30.9cm 30.4cm 30.2cm
のBIGメバル3匹ヒットしました。
お見事でした。
本日もありがとうございました。

【 メバル 】 11匹(25cm~30cm)
(竿頭さんの匹数です)
【 仕掛け 】 胴突き仕掛け サビキ
【 オモリ 】 30号
【 ポイント 】 明石沖
【 エ サ 】 シラサエビ

【 ☆★ 2026年第19回メバル3匹合計長寸大会中間順位 ★☆ 】
順位 3匹長寸 21位まで中間結果 4月現在 同サイズの場合4匹目で順位決定
1位 船山 剛隆様 神戸 32.2 31.7 31.6 (95.5cm)
2位 林 直也様 姫路 32.3 31.5 30.9 (94.7cm)
3位 生田 富和様 明石 31.4 31.0 30.9 (93.3cm)
4位 高橋 貴和様 神戸 31.3 30.4 30.2 (91.9cm)
5位 伊藤 清弘様 神戸 31.1 30.7 30.1 (91.9cm)
6位 浦川 隆行様 明石 31.1 30.4 30.0 (91.5cm)
7位 上山 和良様 神戸 30.6 30.4 29.6 (90.6cm)
8位 遠周 庄三様 姫路 31.2 31.0 28.2 (90.4cm)
9位 細田 克 様 堺 31.1 29.7 28.8 (89.6cm)
10位 黒野 文章様 神戸 30.3 29.7 28.7 (88.7cm)
11位 的場 明生様 尼崎 30.3 29.7 29.1 (88.6cm)
12位 金山 忠雄様 三田 29.7 29.4 29.2 (88.3cm)
13位 後藤 基彦様 明石 29.6 29.3 29.2 (88.1cm)
14位 長岡 英二様 枚方 29.8 29.5 28.7 (88.0cm)
15位 中谷 勝美様 神戸 29.4 29.2 28.8 (87.4cm)
16位 垣本 明正様 高砂 29.9 29.2 28.3 (87.4cm)
17位 羽渕 好郎様 神戸 30.0 28.7 28.6 (87.3cm)
18位 夏目 真 様 愛知 29.3 29.0 28.6 (86.9cm)
19位 清水 敏生様 明石 29.9 28.6 28.4 (86.9cm)
20位 本田 哲 様 神戸 29.5 29.4 27.9 (86.8cm)
21位 岩見 英作様 神戸 28.7 28.7 28.5 (85.9cm)
チャンスはいっぱい♡
どんどんご参加お待ちしております。
メバルの仕掛け
(竿の長さ) 3m50cm~5m30cm
(リール) 両軸 PE 1~2号
(仕掛け) 胴付き仕掛け ・ サビキ
ハリス 0.5号~1.0号
長さ縦 50cm~70cm
縦糸 0.8~1.2号
針 5本針 4~5号
(おもり) 30号
(エサ) シラサエビ
🐟🐟🐟🐟🐟🐟🐟🐟🐟🐟🐟🐟🐟🐟🐟🐟🐟
小松乗合船オリジナルメバル仕掛完成しました。
長年のメバル釣りにこだわり完成させました。
ぜひお試しください。
1セット 500円 (船内販売)
🐟🐟🐟🐟🐟🐟🐟🐟🐟🐟🐟🐟🐟🐟🐟🐟🐟
メバル釣り仕掛け等 下記URLご参考にどうぞ・・⇩⇩
https://drive.google.com/file/d/1HeSJlTqW7DRQeXS1xgxw0UN-YxKbTebc/view
🐟🐟🐟🐟🐟🐟🐟🐟🐟🐟🐟🐟🐟🐟🐟🐟🐟
イベント
【 ☆★ 第19回メバル3匹合計長寸大会開催 ★☆ 】
★期間はメバル釣り初日からメバル釣り最終日(4月末予定)までの合計です。
★帰港後 大きなメバル釣れたと思ったら自己申告してください。
★期間中3匹合計なので3匹分達成してくださいね。
★優勝 準優勝 3位 ・・ 10位までと14位19位21位31位の方表彰します。
★賞品は お楽しみに♪ 参加料無料
お願い
★駐車場(無料)は待合室周辺となっておりますが
お連れ様とご一緒の場合
できるだけお車の乗り合せでお越しくださいますよう
どうぞよろしくお願いいたします。



















